Коммерческая недвижимость производственное помещение 1810м2 1 этаж Ижорский завод тер., id101902976

27 фото
аренда производственного помещения
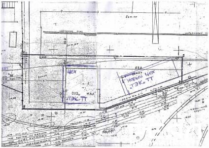
На территории промышленной площадки "Ижорских заводов" сдается отдельно стоящий Производственно-Складской комплекс общей площадью 4426 м2 состоящий из дву теплых цехов с кран-балкой высотой 6 метров, г.п. 5 т. Подкрановые конструкции стальные отдельно стоящие. В цехе 951 кв.м. дополнительные помещения: кабинет, распределительный узел, комната-столовая и комната для отдыха.
Две душевые кабинки и санузел. Дополнительные помещения 70 кв.м.

Второй новый цех:
-теплый;
-высота потолка 8 метров;
-нагрузка на пол 5т.;
-предусмотрена мокрая точка на 10 человек.

Проезд по предварительной записи через проходную. Имеется три подъездных дороги. Пешком от проходной до цеха 5 минут.
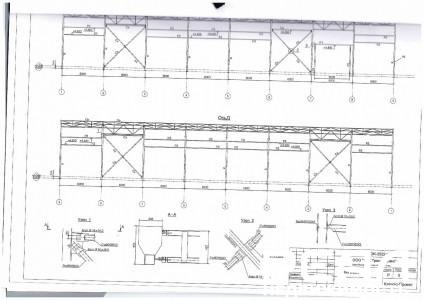
Каркас здания - модуль "Кисловодск", колонны из стальных труб 500 мм. Покрытие пространственное из стальных элементов трубчатого сечения. перекрытия - стальной профилированный лист, утепленный минватой. Стены обшиты панелями "Сэндвич" из стального оцинкованного профилированного листа. Стойки стальные из прокатного профиля. Кровля здания четырехскатная, чердачная, с неорганизованным водостоком. Покрытие из оцинкованной кровельной стали по деревянной обрешетке и деревянным стропилам. Ворота автоматические. Полы бетонные по грунту.
Теплоснабжение осуществляется от существующих внутриплощадочных сетей. Стоимость отопления в зимнее время приблизительно по 45 ты.руб за цех, в теплый период оплачивается только водоотведение около 5 тыс.р и электроэнергия по счетчику. Теплоноситель- вода температура 70-90 градусов С. Отопительные приборы -регистры из гладких стальных труб. Вентиляция помещения предусмотрена через дефлекторы.
Сдаем в комплексе два цеха! По отдельности не сдается! Цена обсуждается.
Арт. 101902976
1 150 000 руб.
18 301,81 $ или 16 123,54 €
МЕСТОПОЛОЖЕНИЕ
Город:
Колпино г.
Улица:
Финляндская ул.
Номер дома:
19
Метро:
ДЕТАЛИ
Этажность здания:
1
Тип дома:
панельный
ПЛОЩАДЬ
Общая площадь:
1810
Категория
На территории промышленной площадки "Ижорских заводов" сдается отдельно стоящий Производственно-Складской комплекс общей площадью 4426 м2 состоящий из дву теплых цехов с кран-балкой высотой 6 метров, г.п. 5 т. Подкрановые конструкции стальные отдельно стоящие. В цехе 951 кв.м. дополнительные помещения: кабинет, распределительный узел, комната-столовая и комната для отдыха.
Две душевые кабинки и санузел. Дополнительные помещения 70 кв.м.

Второй новый цех:
-теплый;
-высота потолка 8 метров;
-нагрузка на пол 5т.;
-предусмотрена мокрая точка на 10 человек.

Проезд по предварительной записи через проходную. Имеется три подъездных дороги. Пешком от проходной до цеха 5 минут.
Каркас здания - модуль "Кисловодск", колонны из стальных труб 500 мм. Покрытие пространственное из стальных элементов трубчатого сечения. перекрытия - стальной профилированный лист, утепленный минватой. Стены обшиты панелями "Сэндвич" из стального оцинкованного профилированного листа. Стойки стальные из прокатного профиля. Кровля здания четырехскатная, чердачная, с неорганизованным водостоком. Покрытие из оцинкованной кровельной стали по деревянной обрешетке и деревянным стропилам. Ворота автоматические. Полы бетонные по грунту.
Теплоснабжение осуществляется от существующих внутриплощадочных сетей. Стоимость отопления в зимнее время приблизительно по 45 ты.руб за цех, в теплый период оплачивается только водоотведение около 5 тыс.р и электроэнергия по счетчику. Теплоноситель- вода температура 70-90 градусов С. Отопительные приборы -регистры из гладких стальных труб. Вентиляция помещения предусмотрена через дефлекторы.
Сдаем в комплексе два цеха! По отдельности не сдается! Цена обсуждается.
Арт. 101902976

Связаться с продавцом

© Реал, 2005—2026 | Политика конфиденциальности

TechBox.one - Создание сайтов